In het kader van de herinrichting van de binnenstad heeft de Bouwhistorische en Archeologische Dienst al enkele malen onderzoek gedaan naar de positie van de stadspoorten, die in de Middeleeuwen toegang gaven tot de stad via de Orthenstraat, Hinthamerstraat en Vughterstraat. In juni 1997 heeft er archeologisch onderzoek plaatsgevonden op de hoek van de Vughterstraat en de Kuipertjeswal. Dit onderzoek is later aangevuld met historisch onderzoek naar geschreven bronnen over de Kruispoort.![]()
afb. 1
De Vughterstraat heeft als gevolg van de uitbreiding van de stad in de loop van enkele eeuwen drie poorten gehad:De Vughterpoort gezien richting Vught. Op de voorgrond de westelijke toren. Rechts op de achtergrond een muurfragment dat onderdeel moet zijn geweest van het gebouw van het voetboogschuttersgilde. (Foto: BAM) De Antwerpse of Onze Lieve Vrouwe Poortin de oudste ommuring - eerste kwart 13de eeuw. Deze op de Schapenmarkt gelegen poort is in het voorjaar van 1997 onderzocht (zie 's-Hertogenbosch 1997, nr. 2).De Kruispoortin de tweede ommuring -vermoedelijk eerste helft 14de eeuw, later ook Vughterbinnenpoort genoemd. Dit bericht gaat over het onderzoek aan deze poort. | 29 | ||||||||||
De Pickepoortuit het eind van de 14de eeuw. Deze onder het Heetmanplein gelegen poort zal in de nabije toekomst worden onderzocht.AanlegReeds aan het eind van de 13de eeuw waren er plannen voor een grootscheepse uitbreiding van de stad met een nieuwe stadsmuur. Dit betekende een vertienvoudiging van het oppervlak van de stad. Deze plannen werden in de eerste helft van de 14de eeuw uitgevoerd. Aan de zuidzijde van de stad lag het tracé van de nieuwe muur ter hoogte van de Kuipertjeswal en Achter de Boogaard. Waar hij de Vughterstraat kruiste werd tussen 1250 en 1352 een poort gebouwd, die, vermoedelijk naar het nabijgelegen Kruisbroedersklooster, Kruispoort ('sHeilich Cruyspoerte') werd genoemd.De historische bronnen leveren weinig informatie met betrekking tot de poort op. Er bestaan geen duidelijke afbeeldingen noch beschrijvingen van. Op de poort werd in 1646 een toren met spits geplaatst, afkomstig van de voormalige Sint Peter en Pauluskerk.1 De toren werd in 1652 verfraaid met een uurwerk. ![]()
afb. 2
Een restant van de oostelijke toren gezien richting Vught. (Foto: BAM) FunctieNadat de poort bij de aanleg van de Pickepoort haar functie had verloren, heeft zij diverse andere bestemmingen gehad. In 1567 en daaropvolgende jaren diende de poort als hulpgevangenis. Vanaf 1662 bevond zich daarin het 'Theater tot de ontleding' van het Bossche Chirurgijnsgilde, tot in 1669, toen dit verplaatst werd naar de kapel van het voormalig klooster der Zwart Zusters op de Papenhulst. De vroegere ontleedkamer werd door de Schutterij van den Jongen Voetboog als vergaderzaal (gildekamer) in gebruik genomen. Vanaf 1677 tot aan de sloop was opnieuw een ruimte boven de Vughterbinnenpoort in gebruik bij 'eenige liefhebbers van de Anatomie'. Ook was sinds 1699 op deze poort een oudheidkamer gevestigd. Blijkens de overgeleverde inventaris is het beter om te spreken van een rariteitenkabinet. Tentoongesteld werden onder meer geraamten van mismaakte mensen en misdadigers. Een van de taferelen bestond uit drie zittende geraamtes die zogenaamd aan het kaarten waren. Enkele meer waardevolle stukken waren Romeinse munten en urnen. Men achtte in die tijd de waarde van de tentoongestelde zaken zo gering, dat de meeste werden weggegooid toen het stadsbestuur in 1799 besloten had om de poort te slopen. De beste stukken werden in mei 1800 in het openbaar verkocht.SloopDe poort werd in 1799 afgebroken. Hoofdreden voor deze stap was dat de poort door zijn geringe doorgangsbreedte en hoogte een hinderpaal vormde voor het verkeer en daarmee de handel. De Vughterstraat was een van de belangrijkste toegangsaders van de stad. Het kwam regelmatig voor dat te hoog beladen wagens of vrachtkarren in het midden van de | 30 | ||||||||||
|
poort vast kwamen te zitten, zodat er niemand meer doorkon. Dit leverde aanzienlijke vertragingen op. Bij regenweer veranderde de doorgang in een modderpoel, wat ook niet bevorderlijk was voor een goede doorstroming. Bovendien was zij de laatste jaren sterk in verval geraakt. Gelegerde militairen hadden hiertoe bijgedragen, alsmede kwaadwillige vandalen die "zig niet ontsien, zich steenen ter nederwerpende, de grootste onheylen aan de Passante te kunnen toebrengen". De poort werd steeds meer als hinderlijk ervaren. Het enige nut dat zij in veler ogen nog verschafte, was het laten zien van de tijd, aan de hand van het erop bevestigde uurwerk. Deze klok kon echter verplaatst worden naar de Vughterpoort (Pickepoort), zodat de stad zich de onderhoudskosten voor de binnenpoort kon besparen. Ook het aangrenzende leegstaande gebouw van het voetboogschuttersgilde werd gesloopt. De straat kon daardoor ter plaatse recht worden doorgetrokken, wat een aanmerkelijke verbetering betekende.
afb. 3. Reconstructie van de Vughterpoort
Tekening: BAM
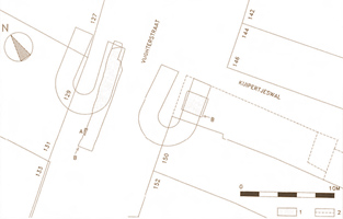
Archeologisch onderzoekHet doel van het archeologisch onderzoek was de exacte positie en de vorm van de poort vast te stellen en indien mogelijk tevens een nauwkeuriger datering.Al op een halve meter onder de straat werd muurwerk van de poort aangetroffen. Bij de sloop in 1799 was het immers niet nodig geweest veel dieper dan het maaiveld te gaan. Daarentegen was het metselwerk als gevolg van de vele werkzaamheden aan riolen en andere leidingen in het meer recente verleden op veel plaatsen juist wel tot op grote diepte gesloopt. Het onderzoek moest zich dan ook noodgedwongen beperken tot de bewaard gebleven fragmenten die tussen de vele leidingen door zichtbaar waren. Het best bewaarde gedeelte van de poort lag aan de westzijde van de straat. Dit leverde ook meteen een verrassing op. Bij het onderzoek aan de beide andere grote 14de-eeuwse stadspoorten, de Pijnappelse Poort aan het Hinthamereinde (zie 's-Hertogenbosch 1996, nr. l) en de tweede Orthenpoort ter plaatse van de Citadel (onderzoek 1983), was gebleken dat deze een rechthoekig grondplan hadden gehad. Op basis hiervan was de verwachting dat de Kruispoort eveneens rechthoekig zou zijn. Nu echter bleek de westzijde een hoefijzervorm te hebben, zoals dat bij de stadspoorten van de eerste stadsmuur het geval is geweest (afb. 1). Het waargenomen muurwerk van deze westelijke toren had een lengte van 8 meter. De dikte | 31 | ||||||||||
|
kon hier niet worden vastgesteld. Het metselwerk was in zogenaamd Vlaams verband gemetseld, dat wil zeggen in één laag afwisselend een kop en een strek (baksteenformaat 27 x 12.5 x 7.5). Deze wijze van metselen komt in 's-Hertogenbosch na 1325 vrijwel niet meer voor. Door de vele rioleringswerkzaamheden in het recente verleden was de ondergrond zo sterk vergraven dat er geen straatniveau meer kon worden vastgesteld. Aan de noordzijde was er binnen het metselwerk wel een aanwijzing voor een vloer met daarop aansluitend vermoedelijk een aanzet voor een trap. Dit niveau lag slechts een halve meter onder de straat op een hoogte van ca. 5 meter +NAP. Op basis van de resultaten aan de westzijde van de straat werd een tweede opgravingsput gekozen aan de oostzijde om de tegenhanger te vinden. Hier bleek de ondergrond echter tot op het dekzand (1.75m. +NAP) te zijn vergraven door de aanleg van het hoofdriool, en zijn geen resten van muurwerk meer aangetroffen. Gelukkig bleek er in de Kuipertjeswal nog een deel van de oostelijke toren bewaard te zijn (afb. 2). Hieruit kan een muurdikte van 1.90 meter worden afgeleid. Ook hier gold dat de ondergrohd bij rioleringswerkzaamheden volledig was vergraven en geen archeologische informatie meer bevatte. Voor een datering zijn we volledig aangewezen op de baksteenformaten die van rond 1300 dateren. De vroegste historische vermelding waar uit blijkt dat er wordt gebouwd aan de tweede stadsmuur is van 1318. Hieruit valt op te maken dat men bij het vele jaren durende project als eerste de stadspoorten heeft aangelegd. Gezien de voor die tijd al 'ouderwetse' vorm van de Kruispoort lijkt het aannemelijk, dat men deze poort nog | 32 | ||||||||||
op de traditionele manier heeft aangelegd en dat er vervolgens een omslag in het denken heeft plaats gehad over de meest effectieve vorm van een verdedigbare stadspoort, waarna men de Hinthamerpoort en de Orthenpoort volgens nieuwe inzichten heeft gebouwd.De reconstructieOndanks de weinige gegevens die het archeologisch onderzoek heeft opgeleverd, is het mogelijk een reconstructie van de Kruispoort te maken op basis van de vorm van de oudste poorten rond de Markt die op dezelfde wijze zijn gebouwd. De vorm van het hoefijzer wordt dan bepaald door het opgegraven gedeelte aan de westzijde van de straat (afb. 3). Als we dit beeld spiegelbeeldig projecteren op de oostzijde met een minimale doorgangsbreedte van 3,50 meter (doorgangsbreedte Antwerpse poort) dan past het daar opgegraven muurwerk er goed in. De lengte van de hoefijzers is aan de hand van het maximaal vastgestelde metselwerk aan de westzijde bepaald. Als deze lijn wordt doorgetrokken valt op, dat de achterzijde van de oostelijke toren samenvalt met de zijmuur van een huis op de Kuipertjeswal dat in 1966 is afgebroken. Dat dit huis in relatie zou hebben gestaan met de bouwmassa van de stadspoort, lijkt een extra argument voor deze reconstructie.
afb. 4
Het huis van Van Breugel. Op de plattegrond is in de rechter bovenhoek de ronding van het muurwerk van de Vughterbinnenpoort (G) te zien. Tekening in Oud Archief, A 324 A. (Foto: Stadsarchief, HTA stamboeknr. 44398) Aan de andere zijde van de straat, in het pand Vughterstraat 127, is bij Bouwhistorisch onderzoek ook muurwerk van de poort aangetroffen. Hieruit kon echter niets afgeleid worden met betrekking tot de vorm van de poort. De hoefijzervorm wordt wel bevestigd door een brief uit 1797 van een zekere C. van Breugel aan het stadsbestuur. Daarin protesteerde hij tegen de afbraak van de Vughterbinnenpoort, omdat hij "tegen een halve maansronde der binnenpoort" gebouwd had en bij afbraak schade aan zijn pand zou ondervinden. Ter oriëntatie, zijn bezit lag ter hoogte van het perceel Vughterstraat 150. Indien de poort gesloopt werd, zou een deel van dit pand bloot komen te liggen en er een gat in de gevel ontstaan (afb. 4). Indien de poort toch afgebroken werd, wilde hij of zijn pand aan de stad verkopen, of aanpassen door het verlengen van de gevel en het dak. De stad diende dan wel in de kosten bij te dragen. Er werd een onderzoekscommissie ingesteld die de klacht van Van Breugel onderzocht. Zij vond dat zijn belang niet opwoog tegen het voordeel dat afbraak van de poort voor de handel en het algemeen belang met zich mee zou brengen. Ter compensatie adviseerde zij aan hem af te staan 'de Halve Maansronde Terrijn dezer stad, waar op althans de stadsmuur staat, so dat de muur zijner Huizinge aldaar vierkantig en in den haak tegen zijne erve kan worden gebouwd.' Verder zou aan hem ook een vergoeding gegeven moeten worden voor het aanpassen van zijn huis. Het enige andere muurwerk dat bij het archeologisch onderzoek is aangetroffen, was een stukje metselwerk dat buiten de huidige rooilijn uitstak (afb. 1 en 3 onder A). Uit vergelijking met oudere kaarten blijkt dat dit onderdeel geweest moet zijn van het al eerder genoemde gebouw van het voetboogschuttersgilde dat op deze plaats heeft gelegen. | 33 | ||||||||||
| Noten | |
| 1. | Deze 15de eeuwse kerk, welke ongeveer ter hoogte stond van de huidige Eurocinema, werd in 1645 afgebroken, omdat zij te dicht bij de Citadel stond en daarmee een vrij schootsveld belemmerde. |
| Bronnen | |
| • | A.F.O. van Sasse van Ysselt, De voorname huizen en gebouwen van 's-Hertogenbosch, alsmede hunne eigenaars of bewoners in vroegere eeuwen. Aanteekeningen uit de Bossche Schepenprotocollen, loopende van 1500-1810, deel I 's-Hertogenbosch, mei 1910) pag. 305-314. |
| • | Gemeentearchief 's-Hertogenbosch, Oud Archief, Rapporten en missiven 1797, A 324 A. |
Eddy Smits, Johan Treling, 'Archeologisch en historisch onderzoek naar de Kruispoort' in 's-Hertogenbosch 1 (1998) 29-33