Intern verslag 136
Archiefonderzoek Weversplaats
Inleiding
In het voorjaar en de zomer van 2004 werd archiefonderzoek ingesteld naar de bebouwing aan de zuidzijde van de Weversplaats tegenover de Beurdsestraat. Daar werden bij eerder archeologisch onderzoek (DBZU) de fundamenten van een groot huis aangetroffen. Tot de vondsten behoorde een niet geïdentificeerd voorwerp.
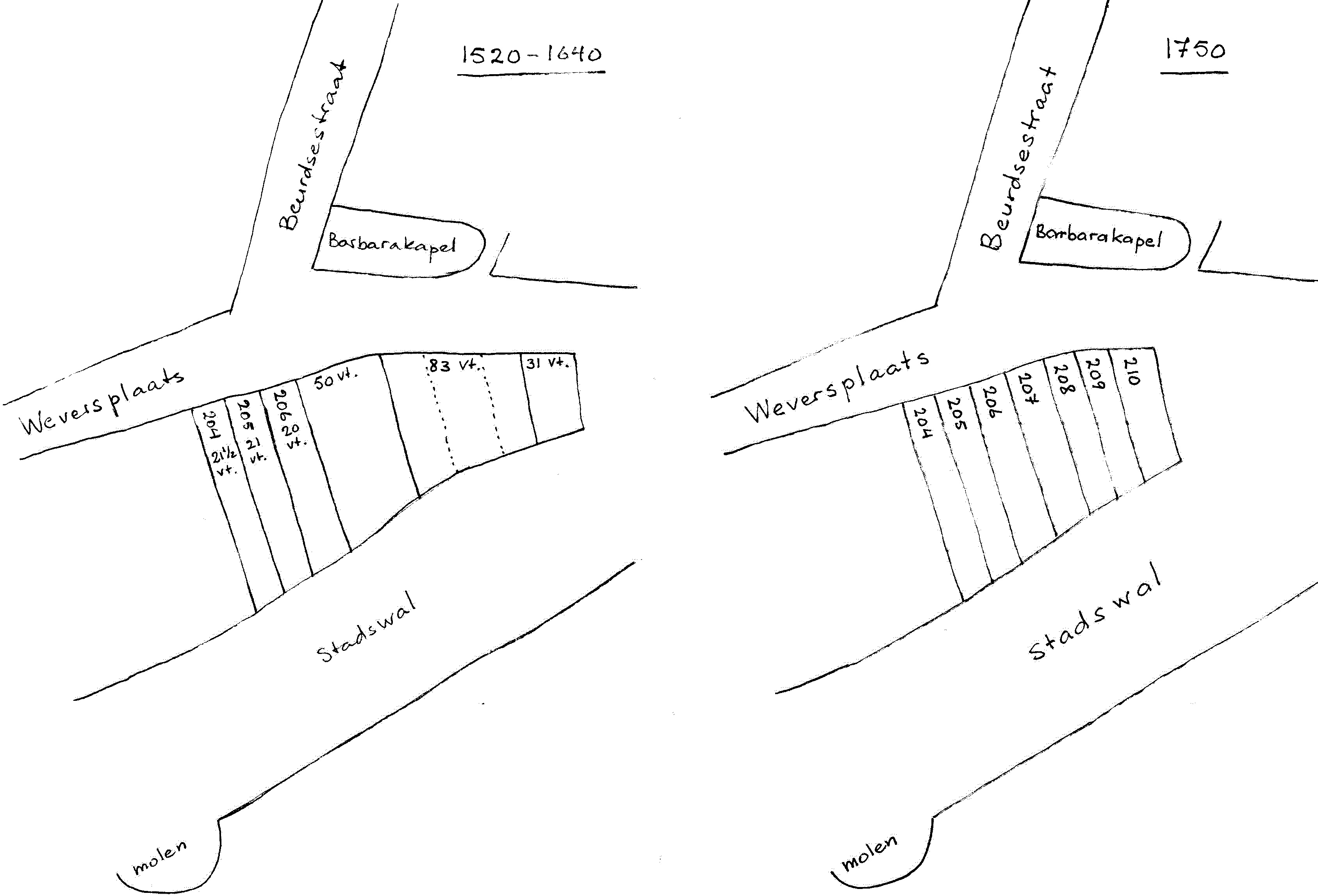
De aangegeven locatie is uit stedenbouwkundig oogpunt interessant, maar de ontwikkeling ervan is niet in alle opzichten duidelijk geworden. In de tweede helft van de achttiende eeuw stonden er bescheiden huizen die van west naar oost de wijknummers F205 tot en met F210 hadden. Oostelijk van dit laatste nummer hield de rij huizen op en bevond zich een ruimte naar de wal toe. Deze parcellering lijkt ook al voor te komen in het hertogelijk cijnsregister van 1520, maar de percelen vanaf F207 waren toen aanmerkelijk breder.
De gegevens leveren van west naar oost het volgende beeld op.
Het gebied ten zuiden van de Sint-Barbarakapel. Links de situatie in de zestiende en de eerste helft van de zeventiende eeuw; rechts die omstreeks 1750.
F205
In 1520 was dit perceel - 21 voet (circa 6 meter) breed - in het bezit van Michiel Hendriksz. bakker. De cijns bedroeg 9 penningen. Als rechtsopvolgster staat zijn weduwe Aleid in het cijnsboek.1 In het register van 1573 staat dit perceel op naam van Jenneke Volken, weduwe van Jacob Jansz. Later was het in bezit van de kinderen van Jan Joosten.2
De gegevens uit de verpondingsregisters en het cijnsregister van 1674 zijn problematisch. In het cijnsboek van 1728 staat het complex op naam van de weduwe van Leendert van der Weert. Uit het
blokboek van 1742 blijkt dat het bewoond werd door de schoenlapper Lambertus van Balkom.1
De kinderen van Leendert van Weert, die het verkregen hadden van hun ouders, droegen het op 25 juli 1749 over aan Antonie van den Dungen. De koopsom bedroeg 405 gulden. De omschrijving luidde: een hegte en sterke wel ter neering staande huysinge en erve met syn regte en toebehoorte van dien, alhier op de Weversplaets ontrent de Baracken, aldaer ex uno Jacobus Nouwens, ex alio Lambert van der Biesen, genaemt het Waepe van Engeland.2 Laatstgenoemde huisnaam had betrekking op het westelijk aangrenzende pand F204. Antonie van den Dungen was zelf bewoner van het huis.3
In 1767 werd het complex in beslag genomen door de ontvanger van de verpondingen en in publieke verkoop aangekocht door Theodoris Minoretti, die het op 16 oktober 1767 voor 435 gulden (gekapitaliseerde lasten 2 gulden 6 stuivers 14 penningen) doorverkocht aan Matthijs van den Dungen. De grondcijns bedroeg blijkens de transportakte 1 stuiver 14 penningen; de belendingen waren: op de Weversplaats over de Beurse straat nevens huijs van Jacobus Wijgerganx ex uno en nevens dat van Bernardus Schasebargh ex alio, strekkende voor van de gemeene straate agterwaards tot op de stads walle.4 Ook Matthijs van den Dungen, broodbakker, bewoonde het huis zelf.5 In 1805 werd het complex opnieuw door de verpondingen geëxecuteerd. Koper werd Walterus Johannes Heeren voor de som van 210 gulden (lasten dezelfde als in de voorgaande akte).6
F206
Dit perceel van 20 voet (circa 5,75 meter) breed stond in 1520 op naam van Jan Aartz. Moyken. De cijns bedroeg 8½ penning. Zijn weduwe Liesbet volgde hem op.7 In 1573 was het in bezit van Pauwels van den Grave, later van Marij Joosten en daarna van Hendrik Cornelis.8 In 1728 stond het op naam van Mr. Van der Vaert, die er een cijns van 1 stuiver en 11 penningen uit betaalde.9 Als eigenaar en hoofdbewoner wordt in 1742 de speldenmaker Lambertus van Balkom genoemd. Er zouden 11 slapers in huis gewoond hebben.10
Later was Jacobus Nouwen de eigenaar. Deze, weduwnaar van Anneke Bos, had op 11 april 1741 zijn nicht Catharina Schoonhuijsen tot enig erfgename benoemd.11 Deze trouwde met Andries Schalx, die in 1750 als Andries Schalk als eigenaar en bewoner staat vermeld12 en het complex op 19 november 1763 overdroeg aan Bernardus Schaseberg. De koopprijs bedroeg 340 gulden (de gekapitaliseerde lasten 37 gulden, 3 stuivers, 12 penningen). De omschrijving luidde: een huys en erve binnen deeze stadt op de Wevers plaats tegen over de Beursestraat, gemeenlyk genaamt Den Groenen Ridder, neffens huys en erve van de weduwe Storm ex uno en neffens huys en erve van de weduwe Antony van den Dungen ex alio, strekkende voor van de gemeene straat tot agter aan de stads wal, zyne voorschreven huysvrouwe aangekomen by erffenis van haren oom Jacob Nouwens, spellemaker alhier, die hetselve hadde verkreegen by coop en opdragt tegens Dr. Theodorus de Marcq q.q. prout in litteris alhier wesende van dato den vierentwintigste november 1700 dartig.13 Deze laatste akte kon echter niet worden getraceerd. Mogelijk trad De Marcq op namens de genoemde Van der Vaart, die in 1728 eigenaar was.
Bij scheiding en deling van de boedel van Bernardus Schaseberg kwam het huis op 20 juli 1779 aan zijn ongehuwde dochter Maria Schaseberg. De getaxeerde waarde was 500 gulden.14 Bewoner
| 1. | ARA Brussel, Rekenkamers 45067, f. 65v.
|
| 2. | RANB, Raad en rentmeester-generaal 280, f. 69.
|
was toen de leidekker en tapper Adrianus van den Heuvel.1 Maria Schaseberg trouwde met de edelsmid Jacobus van Haaf. Deze droeg als echtgenoot het goed op 16 juni 1785 over aan de koopman Nicolaas Jansen. De koopprijs bedroeg 470 gulden. De lasten, gekapitaliseerd op 37 gulden 2 stuivers, bedroegen de grondcijns van 1 stuiver 11 penningen en een cijns van 1 gulden 8 stuivers aan de Onze-Lieve-Vrouwebroederschap. Het complex werd gesitueerd tussen Hendrik van Oorschot en Van den Dungen, strekkend tot aan de stadswal.2 Nicolaas Jansen transporteerde het huis en erf ten slotte op 12 december 1800 aan Matthijs Lovendie, meester-leidekker. Koopprijs 450 gulden. De lasten waren dezelfde als in de voorgaande akte.3
F207-210
Deze percelen en het gebied ten oosten daarvan staan in het cijnsregister van 1728 op naam van de rentmeester van de kerkelijke goederen, de heer van Deurne4, in dat van 1573, bijgehouden tot circa 1640, ten name van Die priesters van Den Bossche.5 In laatstgenoemd register gaat het, net als in het cijnsregister van 1520,6 nog wel om afzonderlijke posten. Zoals gezegd gaat het hierbij om betrekkelijk brede percelen. Het aantal kwam wel overeen met de achttiende-eeuwse situatie, maar de percelen strekten zich in de Late Middeleeuwen verder oostwaarts, in de richting van de Sint-Barbarakapel, uit.
F207
De enige transportakte die ik van F 207 heb kunnen traceren is pas van 11 februari 1807. Toen transporteerde de koopman Constantinus van Oorschot een huis en erve, gequoteert F 207, staande en geleegen binnen deeze stad op de Weversplaats, aan de eene zyde de huizinge genaamt Den Groenen Ridder, aan de andere zyde de huizinge genaamt Den Anker, strekkende voor van de straat achterwaards tegens de wal, de transportant aangekomen by successie van zyne ouders en opgevolgde scheiding en deeling tegen zyne broeders en zuster, zoo hy verklaarde, aan Johannes Verhagen. De koopprijs bedroeg 255 gulden. Uit het goed gingen een rente van 5 gulden aan de Sint-Jan en een rente van 9 stuivers aan 't kantoor der episcopale goederen.7
Als eigenaars en bewoners vinden we verder vermeld:
- in 1742 als eigenaar Theodorus Storm, als bewoner Jan Vons met één kind en 8 slapers;8
- in 1750 vrouw Storm als eigenaar en Bastiaan Chapel als bewoner;9
- in 1775 Hendrik van Oorschot als eigenaar en genoemde Chapel als bewoner.10
F208
Van dit perceel konden geen transportakten worden getraceerd. In 1742 was eigenaar Maria Vogelvangers, bewoner de deurwaarder Johannis (!) Wilhelmus Bosman.11 in 1750 is sprake van een huijsje van juffrouw Vogelvangers;12 in 1775 nader gespecificeerd als de weduwe Pieter Vogelvangers. Bewoner was toen de metselaarsknecht Johannes Aldenberg.13
| 1. | GAHt, Oud-arch. C, 1403, Blok van de Weversplaats nr. 143.
|
| 2. | GAHt, R. 1744, f. 117v.-118.
|
| 3. | GAHt, Oud-arch. C, 1408, Weversplaats nr. 205.
|
| 4. | GAHt, R. 1755, f. 84-84v.
|
| 5. | GAHt, Oud-arch. C, 1441, Weversplaats nr. 205.
|
| 6. | GAHt, R. 1792, f. 220-220v.
|
| 7. | ARA Brussel, Rekenkamers 45067, f. 65.
|
| 8. | RANB, Raad en rentmeester-generaal 280, f. 69.
|
| 9. | Ald., 282, f. 170v.
|
| 10. | GAHt, Oud-arch. C, 1403, Weversplaats, nr. 144.
|
| 11. | GAHt, Not. 3034 (not. Johan van Bruggen), f. 66-67.
|
| 12. | GAHt, Oud-arch. C, 1408, Weversplaats nr. 206.
|
| 13. | GAHt, R. 1764, f. 374-374v.
|
| 14. | GAHt, Not. 3371 (not. Johannes Verster de Balbian), f. 158v.-160.
|
F209
De enige getraceerde transportakte van F 209 dateert van 6 juni 1774. Namens Maria Kien, weduwe van de chirurgijn Pieter Chabot, werd getransporteerd eene huysinge en erve binnen deese stadt op de Weversplaats t'eynde de Beursestraat neffens huys en erve van de weduwe Vogelvangers ex uno en dat van (stukje opengelaten) van Thiel ex alio, strekkende voor van de straat achterwaarts tot aan de stads walle, de constituante aangekomen utsupra (= als eenige nagelatene dochter en ab intestato erfgenaame van wylen haar vader Valentyn Kien), en wel aan Rudolph Verhulst. De koopprijs bedroeg 154 gulden. De lasten waren gekapitaliseerd op 6 gulden 11 stuivers 4 penningen. Het ging hierbij om 5 stuivers 4 penningen aan de rentmeester van de kerkelijke goederen.1
In 1742 stond als eigenaar te boek Kien en als bewoner N. Meurs, militer;2 in 1750 is sprake van een huijsje van Kien;3 in 1775 wordt Roelof Verhulst genoemd als eigenaar en de kantwerkster Maria Blom als bewoonster.4
F210
Op 28 februari 1786 transporteerde Elisabeth van Tiel, meerderjarige ongehuwde dogter, wonagtig binnen dese stad, cum tutore, een gedevaliseert huijsje en erve staande en gelegen binnen dese stad op de Weversplaats aan de wal nevens erve eertijds Johan van Woercom ex uno en voorts rontsom aan de wal, haar aangekomen van hare ouders aan Joseph van Item. De koopprijs bedroeg 175 gulden. Wat met gedevaliseert bedoeld wordt, is niet duidelijk. Was het leeggeplunderd? In ieder geval was bij het volgende transport, op 10 november 1796, de koopprijs opgelopen tot 300 gulden. De erfgenamen van Jospeh van Item droegen het toen over aan Jacobus de Sar. De omschrijving luidde bij die gelegenheid: een huis en erve staande en gelegen binnen deeze stad op de Weversplaats aan de wal nevens erve van (stukje opengelaten) Verhulst aan d'eene zyde en voorts rondsom aan de wal.5 Twee jaar later, op 24 oktober 1798 droeg Jacobus de Sar het huis voor 246 gulden over aan Arnoldus den Doop.6
In 1742 was eigenaar Van Steijn, bewoner Mari Notenboom.7 In 1750 wordt gesproken van een huijsje van Van Thiel;8 in 1775 wordt als eigenaar Van Tiel en als bewoonster de weduwe Hardevoort vermeld.9
Laatmiddeleeuwse situatie
Na F206 volgde, ter plaatse van het latere F207, F208 en ongeveer de helft van F209, volgens het cijnregister van 1520 een brede huisplaats - 50 voet (ongeveer 14½ meter) breed - op naam van Hugo de Muro (van Mure?; in 1573 staat waarschijnlijk Van Muire). De cijns bedroeg 21 penningen. Als bedrag in nieuw geld was dit in 1573 4 stuivers 3 penningen.10
Hierna volgde, ter plaatse van F209, F210 en het gebied ten oosten daarvan, een erf van 83 voet breed dat in 1520 in drieën gesplitst was. Hieruit betaalden de priesters van Den Bosch 9 penningen, Jan van Rode 13 penningen en Jan Lambertsz. 14½ penning. In 1573 betaalden de priesters uit het
| 1. | GAHt, R. 1767, f. 124v.
|
| 2. | GAHt, Oud-arch. C, 103, Weversplaats nr. 147.
|
| 3. | GAHt, Oud-arch. C, 1408, Weversplaats nr. 209.
|
| 4. | GAHt, Oud-arch. C, 1441, Weversplaats nr. 209.
|
| 5. | GAHt, R. 1780, f. 229v.-230.
|
| 6. | GAHt, R. 1781, f. 194.
|
| 7. | GAHt, Oud-arch. C, 1403, Weversplaats nr. 148.
|
| 8. | GAHt, Oud-arch. C, 1408, Weversplaats nr. 210.
|
| 9. | GAHt, Oud-arch. C, 1441, Weversplaats nr. 210.
|
| 10. | RANB, Raad en rentmeester-generaal 280, f. 69.
|
| 11. | ARA Brussel, Rekenkamers 45067, f. 65: Iohannes de Rode de eadem hereditate XIII d.
|
geheel respectievelijk 1 stuiver 14 penningen, 2 stuiver 10 penningen en 2 stuivers 14 penningen.1
Ten slotte bevond zich in oostelijke richting nog een perceel, waaruit Jan van Mierde in 1520 13 penningen betaalde. Ook dit perceel was 31 voet - dus rond 9 meter - breed.2 In 1573 moesten de priesters er jaarlijks 2 stuivers 10 penningen uit voldoen.3
Voor zover mogelijk wordt de geschiedenis van deze percelen later weergegeven. Naast laatstgenoemd perceel bevond zich de weg naar het Van-Mierdensmannengasthuis.
Het is overigens vooralsnog een raadsel wat er in de zeventiende eeuw met de percelen gebeurd is, die in 1573 in het bezit waren van de ‘priesters’, dit wil zeggen de geestelijken - kanunniken en beneficiaten - van de Sint-Jan. Onderzoek in het archief van de rentmeester van de geestelijke goederen4 leverde geen resultaat op voor wat geschiedenis van deze percelen betreft. Het is denkbaar dat er een gasthuis in gevestigd is geweest,5 maar welk is niet duidelijk geworden.
Het Van-Mierdensmannengasthuis
In zijn testament van 17 maart 1403 bestemde de deken van de Sint-Janskerk Adam van Mierde een deel van zijn vermogen, waaronder zijn woonhuis, voor een mannengasthuis. Dit woonhuis stond bij en buiten de stadsmuur achter de Sint-Barabarakapel. Deze kapel, mogelijk gesticht vóór 1361,6 stond op de zuidwesthoek van de Beurdsestraat, waar deze straat overging in de Weversplaats. Ten onrechte vindt men in de literatuur vermeld dat de steeg die naar het gasthuis liep de Molensteeg of Molenpoort werd genoemd. 7Laatstgenoemde steeg lag verder westwaarts, tegenover en in het verlengde van de Mortel, de latere Berenbijt. Men zie hiervoor de plattegrond van Jacob van Deventer.
Adam van Mierde was een zoon van Hendrik van Mierde, die waarschijnlijk smid was en lid van de Onze-Lieve-Vrouwebroederschap. Hij overleed op 5 maart 1367. Op 16 augustus 1359 beloofde Hendrik dat hij aan zijn broer Daneel een erfcijns van 6 pond en 9 schellingen zou betalen uit het derde deel van zijn huis en erf, dat van wijlen Adam van Beerze was, gelegen in de Beurdsestraat zowel binnen als buiten de stadsmuur. Hendrik had dit derde deel van zijn broer ten erfelijke cijns gekregen voor de oudere cijnzen en de genoemde cijns. Hij bezat nog een achtste deel van dit huis. Dit deel, dat hij van Herman Ketheleer de jonge had verkregen, verbond hij tot meerdere zekerheid van de genoemde cijns.8
Het huis zal hierna vererfd zijn aan Hendriks zoon Adam van Mierde, die een interessante carrière doorliep. Hij was een gehuwde clericus, wat betekende dat hij alleen de lagere wijdingen had
| 1. | RANB, Raad en rentmeester-generaal 280, f. 69.
|
| 2. | ARA Brussel, Rekenkamers 45067, f. 65: Dominus Iohannes de Myerde de XXXI pedatis XIII d.
|
| 3. | RANB, Raad en rentmeester-generaal 280, f. 69.
|
| 4. | RANB, Ontvangers belastingen en rentmeesters domeinen 183 (rekening 1657); Generaliteitsrekeningen 3557 (rekening 1725), 3581 (rekening 1750) en 3605 (rekening 1775).
|
| 5. | Het verpondingsregister van omstreeks 1700 spreekt voor de meest oostelijke percelen van een gasthuijs, sijnde twee wooninghe (ARA ’s-Gravenhage, Raad van State 2135, f. 134v.).
|
| 6. | A. van Drunen, ‘De middeleeuwse kerken’, in: Janssen (red.), Van bos tot stad, 94.
|
| 7. | Aldus Van Sasse van Ysselt, Voorname huizen en gebouwen II, 539.
|
| 8. | GAHt, Van-Mierdensmannengasthuis 4, f. 24: Henricus dictus de Myerde promisit ut debitor principalis se daturum et soluturum Danieli dicto de Myerde suo fratri annuum et hereditarium censum sex librarum et novem solidorum monete - - - half met Kerstmis en half op Sint-Jan ex tercia parte domus et aree que fuerat quondam Ade dicti de Berse, site in Buscoducis ad vicum dictum Buerde, tam infra murum opidalem ibidem stantem quam extra eundem murum, atque ex attinentiis eiusdem tercie partis supradicte domus et aree singulis et universis, ubicumque locorum, tam in humido quam in sicco, in duro et in molli consistentibus sive sitis, quam terciam partem supradicte domus et aree cum eius attinentiis universis antedictus Henricus pro censibus prius annuatim exinde de iure solvendis atque pro predicto censu sex librarum et novem solidorum dicte monete erga predictum Danielem suum fratrem ad censum acquisierat, ut dictus Henricus dicebat. Et ad maiorem securitatem solutionis predicti census sex librarum et novem solidorum dicte monete predicto Danieli annuatim exinde solvendis, ut premittitur, antedictus Henricus octavam partem cum eius attinentiis universis supradicte domus et aree, quam ipse erga Hermannum dictum Ketheleer iuniorem acquisierat, ut dictus Henricus dicebat, predicto Danieli suo fratri pro solutione dicti census sex librarum et novem solidorum dicte monete ad pignus imposuit et iure hereditario firmiter obligavit. Katharina, de weduwe van Daneel, en hun beider zoon Jan droegen op 11 maart 1372 een cijns van 49 schellingen uit de genoemde cijns over aan Jan van Oss lakensnijder. Eerder hadden zij al 4 pond overgedragen aan Diederik Ghegel, priester (ald. f. 24).
|
ontvangen, werd in of kort vóór 1361 notaris en later ook stadssecretaris, liet zich op latere leeftijd, in 1397 of 1398, tot priester wijden en en beëindigde zijn carriére als deken van het Bossche Sint-Janskapittel.1 Op 17 maart 1403 maakte hij, ziek te bed liggend in de kamer van zijn woonhuis ‘bij en buiten de stadsmuren van ’s-Hertogenbosch' ter plaatse geheten Boerde,2 zijn laatste testament, waarbij hij een deel van zijn bezittingen bestemde voor de oprichting van twee gasthuizen, een mannen- en een vrouwengasthuis. Het vruchtgebruik van deze bezittingen zou echter eerst komen aan zijn dochter Hille en haar man Jan de Groot van Herlaar en hun eventuele wettelijke nakomelingen tot in het zesde geslacht.3 Dit zou een wel erg uitgestelde stichting zijn geworden, maar hoewel Jan en Hille een zoon hadden, zijn de gasthuizen toch al vóór 1418 tot stand gekomen. Mogelijk is dit gebeurd bij het testament van zijn schoonzoon, gemaakt op 1 april 1407, gemaakt in hetzelfde huis. Van dit testament is alleen een uittreksel bewaard gebleven.4
Het mannengasthuis werd gevestigd in het huis buiten de stadsmuur. Dat het in 1418 al bestond, blijkt uit twee schepenakten van 23 maart van dat jaar, waarin de uitvoerders van het testament van Adam van Mierde - een kanunnik van de Sint-Jan, de oudste schepen van de stad en de procurator van de Bossche heilige-geesttafel - een huis en erf respectievelijk een erf met bebouwing en tuin ten erfcijns gaven. Zij deden dit ten behoeve van de arme mannen wonend in het gasthuis buiten de stadsmuur, om het verval van de gebouwen daar te voorkomen.5 Op deze akten wordt nog teruggekomen.
In 1501 of 1502 werden onder meer bij het gasthuis werkzaamheden aan de stadsmuur uitgevoerd. De stadsrekening van die jaren vermeldt de aanvoer van houdt ende plancken aen de poerte opten Aldenhulst, te weten by heere Adaems gasthuys van Myerde en de Boertsche molen. De benaming Oude Hulst werd gebruikt voor zowel de Oude Hulst zelf als de Sint-Jorisstraat en klaarblijkelijk ook de Weversplaats.6 De Weversplaats op haar beurt werd ook onder Beurde of de Beurdsestraat gerekend.
In augustus 1517 werd bebouwing afgebroken tussen de Hekel en de molen van de zusters, waarmee de Beurdse molen werd bedoeld.7 In de stadsrekening van 1517/18 werden door de stad
| 1. | Zie over hem Van den Bichelaer, Notariaat, Bijlage I, Biografische aantekeningen, 361-366.
|
| 2. | In camera domus inhabitationis ipsius testatoris prope et extra muros opidi de Buscoducis, dicte Leodiensis diocesis, in loco dicto Boerde sita.
|
| 3. | GAHt, Van-Mierdensmannengasthuis 2: constitutus venerabilis vir ac discretus dominus Adam de Mierde, decanus ecclesie sancti Iohannis in Buscoducis Leodiensis diocesis, in lecto sue egritudinis decumbens, bonorum discretionis et intelligentie existens, corporis tamen gravi ut videbatur detentus et occupatus infirmitate - - -. Item legavit prefatus testator de consensu et voluntate Iohannis dicti die Groet de Herlaer et Hille ipsius Iohannis uxoris, legitime testatoris filie legitime, ad dotem et fundationem unius hospitalis suam habitationem sitam in Buscoducis ad locum dictum Boerde, quam idem testator ad presens possidet et inhabitat cum omnibus suis attinentiis tam infra quam extra murum dicti opidi de Buscoducis, ad presens ad dictum testatorem spectantibus, situatis in loco prenotato. Hij vermaakt hiertoe een aantal goederen en inkomsten, talibus tamen conditionibus modo et forma in huiusmodi fundatione et dote hospitalis pretacti precedentibus et intervenientibus quod Iohannes Groet en Hilla eius uxor legitima, coniuges predicti, aut alter eorum coniugum, alterum eorum supervivens et diutius in humanam vitam ducens et superstes, omnia et singula premissa ad dotem et fundationem hospitalis huiusmodi legata et deputata habebunt, levabunt et integraliter manutenebunt et possidebunt cum eorum oneribus, commodis et attinentiis universis, volgen verdere bepalingen betreffende wettige nakomelingen van Hille: pas na het zesde geslacht worden deze goederen bestemd voor het gasthuis. Een transcriptie en vertaling van dit testament in de kandidaatsscriptie van T. van Woerkom, De Adam van Mierdensgasthuizen (Leiden 1970), aanwezig in GAHt. Transcriptie en vertaling zijn echter verre van vlekkeloos en er ontbreekt een pagina in het exemplaar in GAHt. Zie verder Van den Bichelaer, Notariaat, Bijlage II, Regesten, nrs. 161.1, 161.2 en 161.3, blz. 395-396.
|
| 4. | GAHt, Blokken 2055, en RANB, Archief O.-L.-Vrouwebroederschap 71. Zie Van den Bichelaer, Notariaat, Bijlage II, Regesten, nr. 1.6, blz. 17.
|
| 5. | GAHt, Van-Mierdensmannengasthuis 4, f. 5v.-6: volentes ut dicebant pie providere pauperibus viris inhabitantibus pro tempore hospitale fundatum de quibusdam bonis domini quondam Ade predicti, quod hospitale situm est extra muros opidi de Buscoducis in hereditate dicti quondam domini Ade ac preesse apparenti ruine edificiorum ad dictum hospitale pertinentium.
|
| 6. | Zie ook het verslag over de Oude Hulst (intern rapport nr. ...).
|
| 7. | Van Lith-Droogleever Fortuijn, Sanders en Van Synghel (uitg.), Kroniek Peter van Os, 343: Den IIIIden dach augusti int iaer XVII soe waerden die huysen by den gasthuys heren Adams van Myerde afgebroken als van der Hekelen totter zusteren moelen toe. Zie Van Sasse van Ysselt, Voorname huizen en gebouwen II, 239,
|
erfrenten en lijfrenten uitgegeven aan degenen van wie de huizen waren onteigend voor de versterking en uitbreiding van de vestingwerken.1 Het is niet duidelijk of het hierbij om bebouwing buiten de stadsmuur ging. Denkbaar is dat op de plek van de huizen de wal is verbreed. Mogelijk is de stadsmuur verder zuidwaarts gebouwd.
In de hertogelijke cijnsregisters van 1520 blijkt van deze veranderingen overigens nog niets. Wel staat vast dat het gasthuis toen nog over brede percelen beschikte. In de eerste plaats over een hoek aan de Dieze achter het erf van Adam van Beerze van 130 voet (ruim 37 meter) breed. Vervolgens over een erf van 294 voet (ruim 84 meter) en een receptum, in 1573 den nyeuwen uutfange geheten, waarvan de breedte niet wordt opgegeven.2 In het cijnsregister daterend van laatstgenoemd jaar worden deze cijnzen betaald door de stad. Waarschijnlijk is de stad in het bezit gekomen in 1542, toen het gasthuis is afgebroken en ter plaatse een nieuwe gracht is gegraven.3 Er stonden tot dat jaar overigens nog steeds huizen buiten de wal, zoals blijkt uit een post in de stadsrekening van 1541/42: Item Jan die Snyder, Jan Otten, Dingen Blanckarts met hueren venitten, hebben steen geveeght die affgebroken was vanden manhuyse heer Adams van Myerde, met meer andere huysen aldair buyten der mueren after St. Barbara capelle staende, ende affgebroken wesende. Deze huizen stonden op een strook grond ten zuiden van de stadsmuur, die zich uitstrekte tot aan het water dat in de schepenakten die Meer genoemd wordt, een voorloper van de latere stadsgracht.
Bebouwing ten westen van de poort van het gasthuis
Omdat de situatie ter plaatse sterk gewijzigd is, zijn niet alle percelen te situeren. Op 23 maart 1418 gaven de uitvoerders van het testament van Adam van Mierde een huis en erf met zijn toebehoren ten erfelijke cijns aan Hendrik Gielisz. die Zecker. Dit complex werd gesitueerd bij de Beurdsestraat naast de poort gewoonlijk geheten Daemspoirt tussen de openbare steeg aan de ene en erf van Frank van Esch aan de andere kant. Tevens werd het gebruiksrecht uitgegeven van een openbare weg, waarmee wel de zojuist genoemde steeg zal zijn bedoeld. Deze weg was acht voet breed en liep door de genoemde poort naar het water ‘op gepaste tijden’. Het recht van weg strekte zich ook uit over een leeg erf buiten de genoemde poort tot aan de genoemde weg, en dit alles zoals de armen van het gasthuis deze poort, weg en erf gebruikten.4 Achter de akte, waarvan de tekst is geschreven in het cartularium van het Van-Mierdensgasthuis, staan als latere bezitters achtereenvolgens geschreven Jan die Greve en Jan Lambrechtsz.
Op dezelfde datum kregen Hendrik die Zecker en Hendrik Jansz. die Wetter ook nog een goed ter plaatse buiten de stadsmuur ten erfelijke cijns.5 Als latere bezitters worden hier genoemd Jan die Greve, de kinderen van Peter Prijker, Willem van Rode, Jan Lambrechtsz. en het convent van de
| | nt. 3.
|
| 1. | Van Zuijlen, Inventaris, 333.
|
| 2. | ARA Brussel, Rekenkamers 45067 (cijnsregister 1520) f. 65; RANB, Raad en rentmeester-generaal 280 (cijnsregister 1573-1640), f. 68v.
|
| 3. | Van Zuijlen, Inventaris, 583.
|
| 4. | GAHt, Van-Mierdensmannengasthuis 4, f. 5v.-6: domum et aream cum suis attinentiis, sitam in Buscoducis prope vicum dictum Buerde iuxta portam dictam vulgariter meester Daemspoirt inter communem viculum ibidem ex uno latere et inter hereditatem Franconis dicti de Essche ex alio latere, tendentem a muro opidi de Buscoducis ad communem vicum, simul cum iure utendi quadam communi via, octo pedatas in latitudine continente, eundo per portam predictam usque communem aquam ibidem temporibus tamen congruis ac per vacuam hereditatem sitam extra portam predictam usque predictam viam, videlicet ac in forma similiter prout pauperes viri eiusdem eiusdem hospitalis premissis porta, via et vacua hereditate utentur ac de iure uti poterunt.
|
| 5. | Ald., f. 6v.-7: hereditatem cum suis edificiis ac ortum, sitos extra muros opidi de Buscoducis inter vacuam hereditatem ibidem, dictam die Plaets, ac predictam hereditatem et reliquam hereditatem dicti quondam domini Ade ibidem consistentes ex uno latere et inter hereditatem Petri dicti Priker ex alio latere, tendentes a dicto muro ad communem aquam, excepta tamen et dicto hospitali et omnibus hereditatibus dicti quondam domini Ade et omnibus vicinis ibidem presentibus et futuris reservata ac salva una communi via octo pedatarum usque communem aquam ibidem tendentem, videlicet eundi per portam ibidem consistentem temporibus congruis et per dictam vacuam hereditatem ibidem sitam usque ad et per predictam viam similiter dicto hospitali ac pauperibus eiusdem hospitalis, que via tendit citra ab angulo fundamenti domus maioris dicti quondam domini Ade usque communem aquam ibidem.
|
Eikendonk.
Beide goederen komen we tegen in een viertal schepenakten waarin de begijn Liesbet dochter van Hendrik die Zecker, weduwe van Jan Roelof Lodenz. van der Sporct, er cijnzen op vestigde. In een akte van 10 oktober 1457 worden ze omschreven als huis, erf en tuin bij de Sint-Barbarakapel tussen de openbare straat en erf van Jan Lambrechtsz., strekkende van de straat tot aan de stadsmuur, en drie kameren en een daaraan liggende tuin buiten de stadsmuur tussen erf van Dirk Lambrechtsz. van Beerze en de openbare straat, strekkend van het genoemde erf van Dirk van Beerze en de muur tot aan de weg en het aldaar stromende water.1
In volgende akten, daterend van 12 december 1458, 22 juni 1461 en 24 september 1468, worden hiernaast ook nog lakenramen vermeld bij de genoemde kameren.2
Liesbet die Zecker, weduwe van Jan van der Sporct, had een dochter die eveneens Liesbet heette. Zij trouwde met Hendrik Jansz. van Valkenburg. Als man van Liesbet droeg hij op 21 februari 1489 het goed binnen de stadsmuur over aan Cornelis en Rutger zonen van Jan van Meiensvoort en Jan Jansz. die Greve. Uit het complex gingen verschillende cijnzen:
- 4 pond aan het Van-Mierdensmannengasthuis;
- de helft van 5 pond 10 schellingen aan genoemd gasthuis;
- de helft van 1 pond oud geld;
- 10 schellingen aan het Sint-Janskapittel;
- 4 pond aan het Zinnelooshuis;
- 6 pond aan de erfgenamen van Gerard van der Lulsdonk;
- 6 pond aan Margriet weduwe van Thomas Coenen alias van Beerze de vetermaker;
- 6 pond aan de rector van een altaar in de begijnenkerk;
- 1 stuiver aan de armen van het Groot Ziekengasthuis.
Verder droeg Hendrik de helft van het goed buiten de stadsmuur aan genoemde verkrijgers over.
Waarschijnlijk te situeren ten westen hiervan zijn een drietal huizen die genoemd worden in schepenakten van 30 juli 1482 en 16 januari 1483. Op eerstgenoemde datum sloten Gerit Kuyst als proprietaris ende besitter eens huys ende erfs wilner Ghijsbrechts Kesselmans, gelegen inder stad vanden Bosch aen die Wever plaitze omtrent sinte Barbaeren capelle aldaer ter eenre ende Jan soen wilneer Arnt Noykens! als proprietaris ende besitter van eenen anderen huze ende erve aldair ruerens bij gelegen wilneer Bartholomeus Mauthuys, een steenen muer vanden lenghden drieenvijftich ende eenen halven voet met eene goeten dair op liggende ende hen beyden toebehorende, ter andere zijden een overeenkomst over deze tussenmuur. Diewelke twee huysen ende erven voerscreven met hoeren hoeven ende toebehoirten aldair gelegen zijn tussen erffenisse Gielis Zecker Goyarts soen aen deen zijde ende den anderen huyze ende erve des voirscreven Jan Arnts soen aen dander zijde, streckende voir vander straten afterwairts doer der stad muer totter Meer toe aldaer zoe zij zeeden.3
| 1. | GAHt, R. 1228, f. 247: de et ex domo, area et orto, sitis in Buscoducis iuxta capellam sancte Barbare inter communem plateam ex uno et inter hereditatem Iohannis Lambrechs soen ex alio, tendentibus a communi platea ad murum opidi de Buscoducis; insuper de et ex tribus cameris et orto sibi coadiacente, sitis ibidem extra murum predictum inter hereditatem Theoderici de Beerze, filii quondam Lamberti, ex uno et inter communem vicum ex alio, tendentibus ab hereditate dicti Theoderici de Beerze et muro predicto ad viam et aquam ibidem fluentem.
|
| 2. | GAHt, R. 1228, f. 307v.; R. 1231, f. 128: item ex quodam orto ac duabus pannitensoriis sitis in dicto orto retro dictas cameras inter easdem cameras ex uno et inter hereditatem dicti Theoderici de Beerze ex alio, tendentibus a dicto muro dicti opidi usque ad communem Dyesam ibidem; R. 1237, f. 106v.: area et orto ac tribus cameris sibi adiacentibus cum suis pannitensoriis dictis ramen, sitis in Buscoducis iuxta hospitale Ade de Myerde inter viculum ibidem ex uno et inter hereditatem Willelmi dicti de Rode ex alio, tendentibus a communi plathea ad communem Dyesam ibidem.
|
| 3. | GAHt, R. 1251, f. 469v.: Gerit Kuyst als proprietaris ende besitter eens huys ende erfs wilner Ghijsbrechts Kesselmans, gelegen inder stad vanden Bosch aen die Wever plaitze omtrent sinte Barbaeren capelle aldaer ter eenre ende Jan soen wilneer Arnt Noykens! als proprietaris ende besitter van eenen anderen huze ende erve aldair ruerens bij gelegen wilneer Bartholomeus Mauthuys, een steenen muer vanden lenghden drieenvijftich ende eenen halven voet met eene goeten dair op liggende ende hen beyden toebehorende, ter andere zijden. Diewelke twee huysen ende erven voerscreven met hoeren hoeven ende toebehoirten aldair gelegen zijn tussen erffenisse Gielis Zecker Goyarts soen aen deen zijde ende den anderen huyze ende erve des voirscreven Jan Arnts soen aen dander zijde, streckende voir vander straten afterwairts doer der stad muer totter Meer toe
|
Het huis van Gielis Zecker laat zich identificeren met het hiervóór behandelde van zijn zoon Hendrik Zecker en daarna zijn kleindochter Liesbet, gehuwd met Jan van der Sporct, later begijn van het groot begijnhof. Het meest westelijke van de huizen aan de andere zijde zal het perceel betreffen dat nog in 1520 op naam stond van Jan Aartsz. Moyken (F205). Ook het perceel dat in dit jaar ten name stond van Hugo van de Muur zal tevoren van genoemde Jan Moyken zijn geweest.
Aldus zal het huis van Kuyst, eerder Kesselman, het erf hebben omvat dat in 1520 op naam stond van Jan Lambrechtsz. Op 16 januari 1483 transporteerde Gerard Hendriksz. Kuyst als man van wijlen Aleid dochter van wijlen Gijsbrecht Kesselman, krachtens het testament van zijn vrouw, het complex aan Lambrecht van Beerze, zoon van wijlen Hendrik van Beerze van Schijndel, wolwever. De omschrijving luidde: ‘huis, erf, achterhuis en tuin, gelegen in ’s-Hertogenbosch ter plaatse geheten Beurde tegenover de Sint-Barbarakapel, aldaar tussen erf van Gielis Zecker, zoon van wijlen Goiart, aan de ene en tussen erf van Han zoon van wijlen Aart Moykens aan de andere zijde, strekkend van de openbare straat tot aan de stadsmuur van 's-Hertogenbosch; bovendien een tuin met lakenramen geheten die lakenramen aldaar staande, gelegen aldaar aan één kant van de voorgenoemde stadsmuur, aldaar tussen erf van genoemde Gielis Zecker aan de ene en tussen erf van genoemde Jan Aartsz. aan de andere zijde, strekkend van de genoemde muur tot aan het Water die Meer genoemd.' De stad had het recht om een poortje in de stadsmuur te openen en sluiten.1 Uit het complex ging een cijns van 9
| | aldaer zoe zij zeeden, hebben openbairlijc bekent als dat zij vanden voirscreven steenen muer metter goeten dair op liggende ende vanden leydene ende cursse henre wateren ende oic van hoer afterste heyningen etcetera bij mynlijker innesprekene van hoerre beyder vrunden om onrast te scuwen hebben gemaict, geordineert ende met malcanderen gesloeten met eendrachticheyt zeker mynlijke contracten, convencien ende ordinancien in formen ende manieren hier na volgende. Inden iersten, hoewael dat wair es dat na zekeren auden contracten ende voirwairden bij voirvorderen tanderen tijden overdragen was als dat die possessoiren vanden huysen ende erven voirscreven die een den anderen niet en souden mogen overtymmeren hogher dan hen huyzen voirscreven doen ter tijt betymmert waren, soe eest nochtans nu ter tijt voirwarde ende bespreck tussen die voirscreven partijen als dat die voirscreven Jan Arts soen totter tymmeringen van zijnen huyze voirscreven sal moigen oprijzen hoger dan zijn tymmeringe nu is ter hoochden van vier voeten. Ende die voirscreven muer te zijner zijden verheffen ende dair mede oprijzen na heyssche des wercx tot zijnen gerieve ende proffijte. Ende des zoe zal dan die voirscreven Jan Arnts soen die selver muer metter goeten dair op liggende voirtane ende ten ewigen daigen sculdich zijn te houdene tot zijnen eygenen costen ende lasten in goeden loffbaren gereke ende disposicien sonder coste oft laste des voirscreven Gerit Kuyst ende zijnre nacomelingen, behoudelijc nochtans ende dair inne voirsiene als dat die voirscreven Gerit Kuyst namaels ende tallen tijden als hem belyeven zal met zijnre tymmeringen zijns huys voirscreven oeck sal mogen oprijzen ende die voirscreven muer metter goeten dair nae vervolgenen ter gelijker hoochden van vier voeten ende twee voeten daeren boven oft hem belieft, ende dat op zulker condicie ende voirwarde dat zoe wanneer die voirscreven Gerit Kuyst met zijnre tymmeringe alzo oprijzen zal ter hoochden voirscreven oft dair beneden luttel oft vele, soe zal die voirscreven Gerit Kuyst daeren teynden sculdich zijn die voirscreven stenen muer metter goeten dair op liggende te houdenen metten voirscreven Jannen Arnts soen tot hoeren gelijcken cost te houdene in goeder lofbaere disposicien ende gereke tot ewigen daigen, gelijc hen vorderen voir ende zij nae dat gewoonlijc zijn geweest. Item voirtane alsoe die voirscreven Gerit Kuyst die wateren die comen van beyde den huyzen voirscreven inder voirscreven goeten hij afterwarts leydt met eenen loetenen back ende met eenre loetenen pijpen, neder dalende alleen op zijn erve aldaer, soe eest voirwarde ende bespreck als dat die voirscreven Jan Arnts soen in dien dattet hem gelyeft tot zijnen costen den voirscreven back zall moegen meerderen, ende dies waters doer een bijsunder proper? pijpe tot zijnen erve warts oick zal moigen nutten ende gebruycken. Item als vander afterster heyningen dair ny een gelynt stait, streckende vanden voirscrecen steenen muer afterwarts ter lenghden van XLVI voeten tot enen stylle toe aldair staende, dair inne hangen die dooren Gerit Kuyst ende Jan Arnts soen voirscreven, soe eest voirwairde ende overdrach tussen die voirscreven partijen als die voirscreven Jan Arnts soen van nu voirtane ten ewigen daigen ter selver plaitsen aldair tot zijnen eygenen ende lasten sonder coste oft laste des voirscreven Gerit Kuyst oft zijnre nacomelingen houden zall een lofbair heyninge in goeder disposicien ende gereke, het zij een muer oft gelynt, diewelke contracten, convencien ende ordinancien voirscreven die voirscreven partijen hebben geloift op hen ende op allen hen gueden, nu hebbende ende namails vercrijgende, deen den anderen vast ende onverbrekelijc te houdenen getruwelijc te voldoene ende metten werck te volbrenegen, alle droch ende argelist, suptijlheyt van auden ende van nuwen vonden geheelijc dair innen uutgescheyden. Getuygen hebben hier over geweest scepenen in sHertogenbosch Willem Steenwech ende Goyart Zweders. Gegeven opten lesten dach sonder enen der maent van julio int jaer ons Heren dusent CCCC twee ende tachtich. |
| 1. | GAHt, R. 1253, f. 221: domum, aream, domum posteriorem et ortum, sitos in Buscoducis ad locum dictum Buerde in oppositum capelle sancte Barbare, ibidem inter hereditatem Egidii Zecker, filii quondam Godefridi?, ex uno et inter hereditatem Iohannis filii quondam Arnoldi Moykens ex alio, tendentes a communi vico usque ad
|
stuivers aan het Sint-Janskapittel. De koper was waarschijnlijk de vader van de Jan Lambrechtsz., die genoemd wordt in het cijnsregister van 1520.
Op 9 april 1494 verkochten Jan Aart Moykens en de begijn Geertruid dochter van wijlen Jan van Keulen een cijns uit twee huizen, erven, tuinen en achterhuizen van genoemde Jan aan de Weversplaats tegenover de Sint-Barbarakapel tussen erf van Jan van Schijndel en tussen erf van Antonis Serijs, strekkend van de straat tot aan de stadsmuur en verder tot aan het water De Meer; en verder uit een kamp van Geertruid van Keulen ter plaatse De Meer; en ten slotte nog uit huis en erf en achterhuis van Geertruid in de Vughterstraat.1 In 1520 was een Willem Antonis Serijs bezitter van het latere perceel F204.2
Conclusie
Uit het voorgaande kan worden afgeleid dat ter plaatse van de latere huizen F206 tot en met F210, waar opgraving DBZU heeft plaatsgevonden, in de Late Middeleeuwen aanmerkelijk grotere percelen en tevens grotere huizen hebben gestaan. Zoals uit de omschrijvingen en de belendingen kan worden afgeleid, liepen de percelen er door tot voorbij de stadsmuur. Aan de achterzijde grensden de percelen aan het water de Meer.In de muur bevonden zich poorten en poortjes, waaruit kan worden afgeleid dat er nog geen sprake is geweest van een brede en hoge wal. In 1501/02, 1517/18 en 1542/43 hebben er werkzaamheden plaatsgevonden die tot de aanleg van een dergelijke wal hebben geleid. In laatstgenoemde jaren is het mannengasthuis van Adam van Mierde buiten de stadsmuur afgebroken en is er ter plaatse een nieuwe gracht gegraven.
Gebruikte afkortingen en literatuur
| ald. | aldaar |
| ARA | Algemeen Rijksarchief |
| f. | folio |
| GAHt | Gemeentearchief 's-Hertogenbosch |
| Not. | Notarieel archief |
| not. | notaris |
| nr. | nr. |
| Oud-arch. | Oud-archief |
| R. | Rechterlijk archief |
| RANB | Rijksarchief in Noord-Brabant |
| v. | versozijde |
Drunen, A. van, ‘De middeleeuwse kerken’, in: H.L. Janssen (red.), Van bos tot stad ('s-Hertogenbosch 1983) 89-100
Sasse van Ysselt, A.F.O. van, De voorname huizen en gebouwen van 's-Hertogenbosch, 3 dln. ('s-Hertogenbosch 1910-1914)
Bichelaer, A.H.P. van den, Het notariaat in stad en meierij van 's-Hertogenbosch tijdens de Late Middeleeuwen (1306-1531) (Amsterdam 1998)
Lith-Droogleever Fortuijn, A.M. van, J.G.M. Sanders en G.A.M. van Synghel (uitg.), Kroniek van Peter van Os ('s-Gravenhage 1997)
Zuijlen, R.A. van, Inventaris der archieven van de stad 's-Hertogenbosch, 3 dln. ('s-Hertogenbosch 1863-1876)
| | murum opidi de Buscoducis; insuper quemdam ortum cum pannitensoriis dictis die lakenramen inibi stantibus, sitis ibidem ab una parte dicti muri opidi predicti inter hereditatem dicti Egidii Zecker ex uno et inter hereditatem dicti Iohannis Arnts soen ex alio, tendentem a dicto muro usque ad aquam die Meer vocatam, quemadmodum premissa cum suis iuribus et attinentiis ibidem sita sunt et ad dictum quondam Giselbertum Kesselman pertinere consueverant et ad dictum Gerardum Kuyst pronunc pertinere dinoscuntur, salvo tamen opido de Buscoducis suo iure claudendi aut aperiendi quandam parvam portam que pendet ibidem in muro predicto. |
| 1. | GAHt, R. 1264, f. 223v.-224: de et ex duabus domibus, areis, ortis ac domibus posterioribus dicti Iohannis, sitis in Buscoducis ad vicum dictum Weverplaets in oppositum capelle sancte Barbare inter hereditatem Lamberti de Scijnle ex uno et inter hereditatem Anthonii Serijs ex alio, tendentibus a vico predicto usque ad murum opidi de Buscoducis et ulterius usque ad aquam dictam die Meer, ibidem fluentem; insuper ex quodam campo terre Geertrudis de Colen, sito in predicto loco die Meer vocato inter hereditatem domicelle de Berkel ex uno et inter communem aquam die Meer vocatam alias undique adiacentem; insuper ex domo et area ac domo posteriori dicte Geertrudis, sitis in Buscoducos in vico Vuchtensi.
|
| 2. | ARA Brussel, Rekenkamers 45067, f. 65v.
|
Martin W.J. De Bruijn, Utrecht november 2004